(0)
(0)
พระรูปหล่อครูบาสิทธิ อภิวัณโณ รุ่นแรกวัดปางต้นเดื่อ จ.เชียงใหม่+พระรูปหล่อพระอาจารย์เปลี่ยน ปัญญาปทีโป รุ่นแรก จ.เชียงใหม่
รายงานผลโหวต
จากรูปพระแท้
0%
[0]
จากรูปพระแท้แต่ข้อมูลไม่ถูกต้อง
0%
[0]
จากรูปพระเก๊
0%
[0]
พระดูยากจากรูป
0%
[0]
จำนวน
โหวต
ร่วมแสดงความคิดเห็น
ผู้โหวตจะต้องโหวตพระแท้หรือเก๊พร้อมทั้งเหตุผลในการโหวตแท้เก๊เท่านั้น
ห้ามสมาชิกแสดงว่าคิดเห็นอื่นๆ
มิฉะนั้นท่านจะถูกพิจารณาตามกฏกติกาการโหวต
จากรูปพระแท้
จากรูปพระแท้แต่ข้อมูลไม่ถูกต้อง
จากรูปพระเก๊
พระดูยากจากรูป
ความคิดเห็น :
กรุณารอสักครู่...
ชื่อพระเครื่อง
พระรูปหล่อครูบาสิทธิ อภิวัณโณ รุ่นแรกวัดปางต้นเดื่อ จ.เชียงใหม่+พระรูปหล่อพระอาจารย์เปลี่ยน ปัญญาปทีโป รุ่นแรก จ.เชียงใหม่
รายละเอียด
พระรูปหล่อครูบาสิทธิ อภิวัณโณ รุ่นแรก วัดปางต้นเดื่อ จ.เชียงใหม่&พระรูปหล่อพระอาจารย์เปลี่ยน ปัญญาปทีโป รุ่นแรก วัดอรัญญวิเวก จ.เชียงใหม่
ราคาเปิดประมูล
100 บาท
ราคาปัจจุบัน
-- ยังไม่มีผู้เสนอราคา --
เพิ่มขึ้นครั้งละ
50 บาท
วันเปิดประมูล
ส. - 25 เม.ย. 2569 - 23:40:17 น.
วันปิดประมูล
อ. - 05 พ.ค. 2569 - 23:40:17 น. (เหลือเวลา 8 วัน 11 ชั่วโมง 53 นาที)
ผู้ตั้งประมูล
เชือกกล้วย
(
7.6K
)
(
1
)
(0)
ข้อมูลเพิ่มเติม 1
ส. - 25 เม.ย. 2569 - 23:41:03 น.
พระรูปหล่อครูบาสิทธิ อภิวัณโณ
ข้อมูลเพิ่มเติม 2
ส. - 25 เม.ย. 2569 - 23:42:06 น.
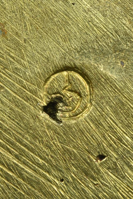
ใต้ฐานพระรูปหล่อครูบาสิทธิ อภิวัณโณ ตอกโค๊ต พ
ข้อมูลเพิ่มเติม 3
ส. - 25 เม.ย. 2569 - 23:42:54 น.
พระรูปหล่อะระอาจารย์เปลี่ยน รุ่นแรก
ข้อมูลเพิ่มเติม 4
ส. - 25 เม.ย. 2569 - 23:43:40 น.
ด้านหลังรูปหล่อพระอาจารย์เปลี่ยน
ข้อมูลเพิ่มเติม 5
ส. - 25 เม.ย. 2569 - 23:44:17 น.
ใต้ฐานตอกโค๊ต
ราคาปัจจุบัน :
100 บาท
เพิ่มขึ้นครั้งละ :
50 บาท
!!! ท่านต้อง login เข้าสู่ระบบก่อน จึงจะสามารถร่วมประมูลได้ !!!
(0)
ประวัติการเสนอราคา
-- ยังไม่มีผู้เสนอราคา --
www1
Copyright ©G-PRA.COM